Bursa - Mudanya Yolu Geçit-Bademli Kavşağı Köprü ve Şerit Genişletme

  • Konbuyu başlatan Konbuyu başlatan EfeBursa
  • Başlangıç tarihi Başlangıç tarihi
E

EfeBursa

Konu sahibi
Mudanya yolunu kilitleyen tarihi köprünün yanına yapılacak yeni köprünün gelişmelerini bu başlık altında toplayalım.

ömömö
 
Moderatör tarafında düzenlendi:
Konu sahibi
Ayvalıdere’yi yapan Karayolları Geçit’e de gelir mi?

2.-YAZI-İÇİN-TARİHİ-AYVALİDERE-KÖPRÜSÜ-RESTORASYONUNU-KARAYOLLARI-YAPIYOR-480x360

Bir süredir… Nilüfer Özlüce’deki tarihi Ayvalıdere Köprüsü’nde restorasyon var. Mahalle arasında Büyükşehir ve Vakıflar’ın çalışmalarına alışık olanlar, Karayolları tabelasını görünce şaşırıyorlar.

Oysa…
Tarihi köprüler yasa gereği sorumluluğunda olduğu için yapıyor.

Aynı Karayolları’nın…
Mudanya Yolu trafiğini iki şeride düşüren ve cumhuriyet dönemi ilk kemerli köprüsü olan tarihi Geçit Köprüsü’nü de yapacağı günü bekliyoruz.
Kaynak: Bursa’nın mistik havasına fark katacak öneri: Gökdere Vadisi’nde karşılıklı ezan - Ahmet Emin Yılmaz

Köprü restorasyonu köşe yazılarından ileriye gitmiyor umarım bir an önce başlanır...
 
Konu sahibi
Karayolları’nın yapması gereken iki acil yer var; biri Geçit Köprüsü, diğeri Görükle Kavşağı. Ancak gel gör restorasyon yapmak Karayolları için daha öncelikliymiş
 
Moderatör tarafında düzenlendi:
Konu sahibi
Bursada yol,köprü ve kavşak konusu her dönem 2.hatta 3.planda en önemli sorun ulaşım ama restorasyondan bile daha az önem veriliyor sonuç ortada içinden çıkılmaz bir hal alan trafik sorunu var halada bişey yapmıyorlar koca 5 yıl geçti belediye seçimleri üzerinden yapılan köprülü kavşak sayısı sadece 2 onun 1 tanesinide karayollarıyla ortak yaptılar gerçekten akıl tutulması var koca şehirde.
 
Konu sahibi
Akıllı kavşaklar yapıldı ya
Hepsi tıkandı yine millet sanayi girişindeki beşevler kavşağında iş çıkışı yarım saatten fazla bekliyor buna işi geçiştirmek denir kalıcı çözüm yok aynı hata altınşehir-23 nisan dönel kavşağındada yapılıyor oraya batçık yapılmalıydı gidip akıllı kavşak yapıyorlar babylon bitince ordaki trafik 2 kat artacak akıllı kavşak yine bi işe yaramayacak.
 
Moderatör tarafında düzenlendi:
Konu sahibi
Bu günki lansmanda yapım çalışmalarını başlattığımı köprümüz dedi alinur aktaş ordan geçerken bakmak lazım imalat başladımı.
 
Konu sahibi
Karayolları yapmayınca Geçit Köprüsü’nü Büyükşehir gündeme aldı

3.-YAZI-İÇİN-MUDANYA-YOLU-TARİHİ-GEÇİT-KÖPRÜSÜNÜ-KARAYOLLARI-YAPMADI-BÜYÜKŞEHİR-YAPACAK-468x450

2013’ten beri yazıyoruz… Mudanya’dan 3 şerit gelen yola, Bademli ve Nilüfer Köy’den gelen şeritler ekleniyor, çok kısa mesafe sonra da tarihi Geçit Köprüsü’nde yol iki şeride iniyor.

Bu da…
Sabahları Mudanya yönünden kent merkezine işe gelenlerin artmasıyla, trafiğe huni daralmasıyla soruna dönüşüyor.

Aslında…
Cumhuriyet döneminin ilk kemerli köprüsü olan Geçit köprüsü tarihi olduğu için Karayolları’nın sorumluluğunda. 2013’te proje de hazırladı, ama söz vermesine karşın yapmıyor.

İşte…
Bu köprüyü Büyükşehir Belediye Başkanı Alinur Aktaş gündemine aldı.

Gerçi…
Karayolları projesinde, Mudanya’ya gidiş yöndeki köprü yanına yeni köprü var, ama Büyükşehir, tarihi köprünün yanına yeni köprü düşünüyor.

Keşke Karayolları işini yapsaydı da, Büyükşehir görevi olmamasına karşın sorumluluk almak zorunda kalmasaydı.

genisletme_projesi

Kaynak: Kuruluş çağı havasını yaşayan Bursa 50 yılda neye dönüştü, nereye gidiyor? - Ahmet Emin Yılmaz
 
Moderatör tarafında düzenlendi:
Konu sahibi
Bir işte bizim belediyeye kalmasa şaşardım doğrusu. Bir an önce temel atılması dileği ile.
Şehir içi kavşak,köprü,yol çalışmalarını büyükşehire verdi bence ulaştırma bakanlığı bende raylı sistemleri yaparım diyor böyle olması daha iyi köprüler,kavşaklar daha kolay işler belediye yapar ama raylı sisteme gücü yetmiyor.
 
Konu sahibi
Bugün Mudanya istikametinden Bursa istikametine doğru gelirken gördüm. Yeni köprü için Nilüfer Çay’ında kazı çalışmaları başlamış. Hatta demir kalıplar hazırlanıp alana bırakılmış. Umarım seçim öncesi göstermelik değildir de en azından seneye okul sezonu açılmadan bi gelişme görürüz
 
Konu sahibi
Bugün Mudanya istikametinden Bursa istikametine doğru gelirken gördüm. Yeni köprü için Nilüfer Çay’ında kazı çalışmaları başlamış. Hatta demir kalıplar hazırlanıp alana bırakılmış. Umarım seçim öncesi göstermelik değildir de en azından seneye okul sezonu açılmadan bi gelişme görürüz
Belediye başkanı söylemişti zaten çalışmalara başladık diye orda pek bir iş yok köprü yapmak 1 aylık iş artık bundan daha uzun yunuseli dönüş köprüsünü 1 ayda kaba inşaat olarak yapmışlardı iş büyükşehir belediyesi ölçeğinde çerez iş aslında.
 
Konu sahibi
Köprü için çakılacak kazıların demir iskeletleri alana getirilmiş kazık makinası yerlerini açtıkan sonra betonlama işleri kısa sürede başlar.
 
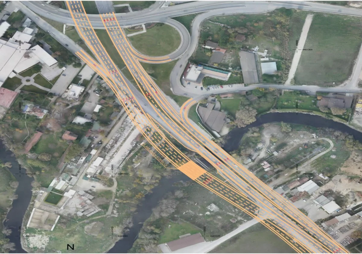
dostlar, acemler kavşağına yapılan ilave şerit tam olarak hangi işlevi görecek, görseli var mı ? Acemler yol ayrımına gelmeden yanyol görevi görüp mudanya tarafına acemlere girmeden mi geçilecek?
 
Konu sahibi
Asıl proje bu projeye sağdık kalıp acemler köprüsünün yanına yapılacak tüp geçitle beraber yan yol imalatı yapılmalı tahminimce o yüzden şuanki çalışma sonlandırıldı bu şekilde yapılmadığı sürece bir mantığı olmayacak.

Ekli dosyayı görüntüle 5239
Acemler başlığında var ama sizin için burayada koyayım kavşağa gelmeden paşaçitliğini hemen geçince yapılacak tüp geçitten mudanya tarafına gidilecek artık yan yol ve köprü işlevi görseldeki gibi.
 
dediğiniz gibi olmadıktan sonra kulağı ha ters tutmuşsun ha düz bir anlamı olmaz. Bu şehrin asıl sorunu yeni güzergahlar üretemiyor oluşudur. Herkesi izmir-ankara yoluna farklı şekillerde topladıktan sonra sonuç değişmez. Trafiği oradan alıp oraya götürmek trafiği bitirmez, yerini değiştirir.
 
Konu sahibi
Vatandaş soruyor: Geçit Köprüsü ne zaman?

2.-YAZI-ICIN-TARIHI-GECIT-KOPRUSU-450x450

Yıllardır yazıyoruz… Bursa ve Mudanya yönlerinden 3 şerit gelen araçlar Geçit Köprüsü’nde iki şeride inince trafik sıkışıyor.

Karayolları…
10 yıl önce Mudanya Yolu’nu yapıp Büyükşehir’e devretti. Geçit Köprüsü tarihi olduğu için yapmak zorunda, ama yapmıyor. Seçim öncesi getirilen fore kazık ve kalıplar da, Büyükşehir değişince geri gitti.

Vatandaş Ümit Meraklı soruyor:
“Geçit Köprüsü ne zaman yapılacak?”
Kaynak: Yıl dönümü geldi: Depreme hazır mıyız, yoksa 3 konser depremi önleyebilir mi? - Ahmet Emin Yılmaz
 
Geri
Üst Alt